Publicidad
LOCAL
NACIONAL
MUNDO
ECONOMÍA
BIENESTAR
PASATIEMPOS
DEPORTES
THINK TANK
Buscar en el sitio
Esc
Buscar
Etiqueta
Enrique
“Enrique” mantendrá lluvias en varios estados del país
Redacción
27/06/2021
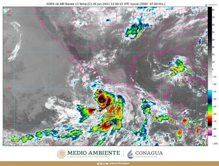
“Enrique” ya es huracán categoría 1 y provocará lluvias
Redacción
26/06/2021
EEUU retira cargos contra Cienfuegos; entrega evidencia a la FGR
Gabriel Morales López
17/11/2020
Publicidad