“Enrique” ya es huracán categoría 1 y provocará lluvias
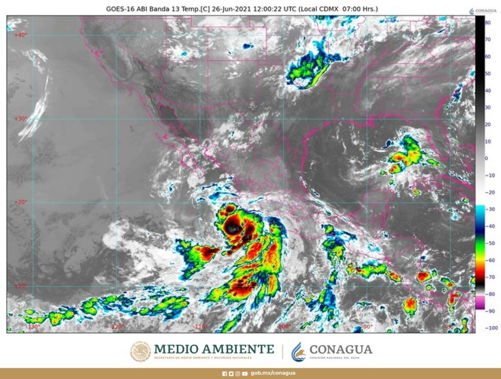
La tormenta tropical “Enrique” evolucionó a huracán categoría 1 y se localiza frente a las costas de Colima, por lo que se esperan lluvias intensas en varias entidades.
El Sistema Meteorológico Nacional (SMN) informó que se pronostican lluvias intensas a puntuales torrenciales en Michoacán y Guerrero; lluvias muy fuertes con lluvias puntuales intensas en Jalisco y Colima, y lluvias fuertes con lluvias puntuales muy fuertes en Nayarit.
La Comisión Nacional de Agua (Conagua) señaló que las lluvias serán con tormentas eléctricas, granizo y vientos fuertes; además, podrían provocar deslaves, incremento en los niveles de ríos y arroyos, y desbordamientos e inundaciones en zonas bajas.



Comentarios